My Search Tools:

$60,000 - 5150 Viking Rd #a, Pensacola

-
Bedrooms
-
Baths
N/A
SQ. Feet
0.26
Acres

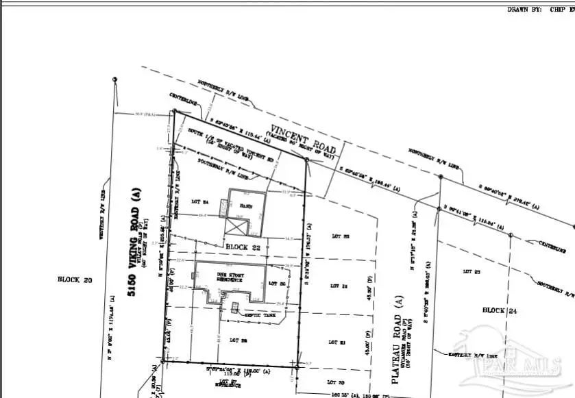
PERFECT FOR NEW CONSTRUCTION: Three cleared lots available in a quiet area. Lot 24, located at the end of the dead-end street, is the largest and most premium lot, offering extra privacy with no neighbor on one side. Lots 25 and 26 are adjacent standard lots. Minutes to the Beach Lot 24 – $60,000 Dimensions: 90’ front x 110’ depth & 118 depth x 47’ rear Premium end-lot with added privacy Lot 25 – $45,000 Dimensions: 45’ front & rear x 110’ depth Lot 26 – $45,000 Dimensions: 45’ front & rear x 110’ depth Lots are cleared and ready for development. Perk tests are done and approved for septic. As you drive through the neighborhood, you’ll see new construction rising along the road, highlighting the area’s ongoing growth and development.

Essential Information

  • MLS® #:
    675958
  • Price:
    $60,000
  • Acres:
    0.26
  • Type:
    Land
  • Sub-Type:
    Residential Lots
  • Status:
    Active

Community Information

  • Address:
    5150 Viking Rd #a
  • Subdivision:
    None
  • City:
    Pensacola
  • County:
    Escambia - Fl
  • State:
    FL
  • Zip Code:
    32507

School Information

  • Elementary:
    Hellen Caro
  • Middle:
    BAILEY
  • High:
    Escambia

Listing Details

  • Listing Office:
    Voyage Real Estate Llc

Copyright© 2026 by the Multiple Listing Service of the Pensacola Association of REALTORS®. This information is believed to be accurate but is not guaranteed. Subject to verification by all parties. This data is copyrighted and may not be transmitted, retransmitted, copied, framed, repurposed, or altered in any way for any other site, individual and/or purpose without the express written permission of the Multiple Listing Service of the Pensacola Association of REALTORS®. Florida recognizes single and transaction agency relationships. Information Deemed Reliable But Not Guaranteed. Any use of search facilities of data on this site, other than by a consumer looking to purchase real estate, is prohibited.